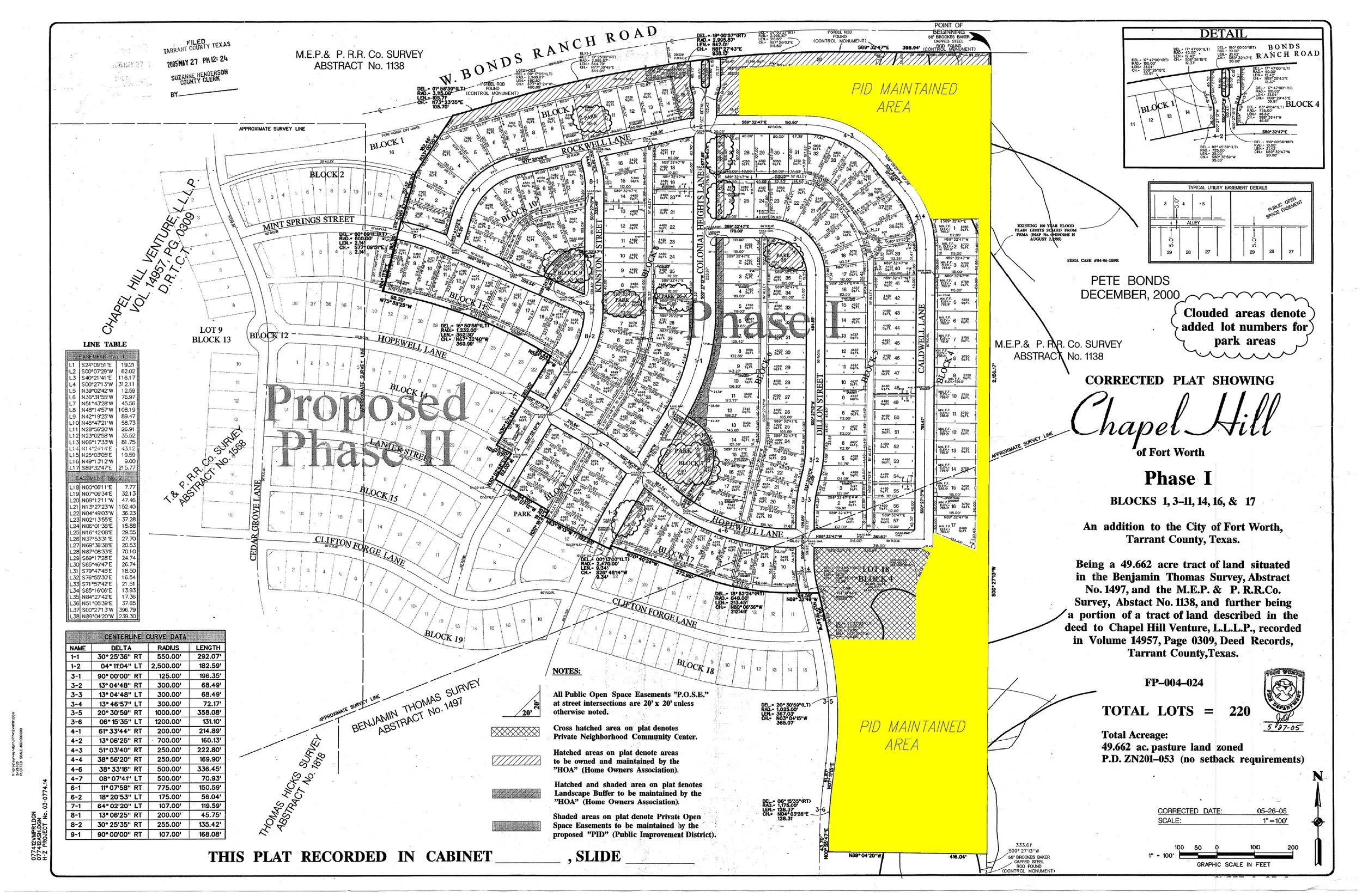
Documents Notice of ObligationFY 2026 Approved BudgetPID 12 Chapel Hill Resolution No 3060PID 12 Assessment Ordinance Bids No open bids at this time. Chapel Hill PID Map View fullsize Chapel Hill Orthos Map View fullsize